¾È³çÇϼ¼¿ä^^ ÃÊ¿øÁö±âÀÔ´Ï´Ù ±×Á¦´Â ¹Ù¶÷°ú ±â¿ÂÀÇ ¿µÇâÀ¸·Î ÀúÁ¶ÇÑ Á¶È²À» º¸¿´À¸³ª ¾îÁ¦´Â º¸»óÀÌ¶óµµ ÇØÁÖµí ¾ÆÁÖÁÁÀº Á¶È²À» º¸¿´½À´Ï´Ù ÃÊÀú³áºÎÅÍ ³ª¿À±â ½ÃÀÛÇÑ ºØ¾î´Â µ¿ÀÌÆ²¶§±îÁö ²ÙÁØÇÑ ÀÔÁúÀ» º¸¿´°í ¾ÆÄ§¿¡ »ì¸²¸ÁÀ» º¸´Ï 50¼öÀÌ»óÀÇ Á¶°ú¸¦ º¸¿´³×¿ä ¾îÁ¦µµ ¹æ·ù¸¦ ½Ç½Ã Çß°í ¿À´Ãµµ ´ë·®¹æ·ù¸¦ ÇÏ¿´½À´Ï´Ù ³»Àϵµ ´ë·®¹æ·ù ÇÕ´Ï´Ù ÃÊ¿ø³¬½ÃÅÍ´Â ¸ÅÁÖ800Kg (È150/¸ñ150/±Ý200/Åä300) ºØ¾î¸¦ ¹æ·ùÇÕ´Ï´Ù ¡Ø ³×ºñ°Ë»ö: ÃÊ¿ø³¬½ÃÅÍ ¡Ø ÁÖ¼Ò: °æ±âµµ Æ÷õ½Ã ÀÚÀÛµ¿509 ¡Ø Á¶È²/¿¹¾à¹®ÀÇ: 031-535-4800/h.p 010-8875-5488 ¡Ø ºÎ´ë½Ã¼³: ¼ö»óÁ´ë/¹æ°¡·Î/½Ä´ç/¸ÅÁ¡/ÈÞ°Ô½Ç/³².¿© ÈÀå½Ç/»þ¿ö½Ç/ÁÖÂ÷Àå Á¶È²/¿¹¾à¹®ÀÇ: 031-535-4800/h.p 010-8875-5488 Á¶È²/¿¹¾à¹®ÀÇ: 031-535-4800/h.p 010-8875-5488 Á¶È²/¿¹¾à¹®ÀÇ: 031-535-4800/h.p 010-8875-5488 Á¶È²/¿¹¾à¹®ÀÇ: 031-535-4800/h.p 010-8875-5488 Á¶È²/¿¹¾à¹®ÀÇ: 031-535-4800/h.p 010-8875-5488 Á¶È²/¿¹¾à¹®ÀÇ: 031-535-4800/h.p 010-8875-5488 Á¶È²/¿¹¾à¹®ÀÇ: 031-535-4800/h.p 010-8875-5488 Á¶È²/¿¹¾à¹®ÀÇ: 031-535-4800/h.p 010-8875-5488 Á¶È²/¿¹¾à¹®ÀÇ: 031-535-4800/h.p 010-8875-5488 Á¶È²/¿¹¾à¹®ÀÇ: 031-535-4800/h.p 010-8875-5488 Á¶È²/¿¹¾à¹®ÀÇ: 031-535-4800/h.p 010-8875-5488 Á¶È²/¿¹¾à¹®ÀÇ: 031-535-4800/h.p 010-8875-5488 Á¶È²/¿¹¾à¹®ÀÇ: 031-535-4800/h.p 010-8875-5488 Á¶È²/¿¹¾à¹®ÀÇ: 031-535-4800/h.p 010-8875-5488 Á¶È²/¿¹¾à¹®ÀÇ: 031-535-4800/h.p 010-8875-5488 Á¶È²/¿¹¾à¹®ÀÇ: 031-535-4800/h.p 010-8875-5488 Á¶È²/¿¹¾à¹®ÀÇ: 031-535-4800/h.p 010-8875-5488 Á¶È²/¿¹¾à¹®ÀÇ: 031-535-4800/h.p 010-8875-5488
¾È³çÇϼ¼¿ä^^
ÃÊ¿øÁö±âÀÔ´Ï´Ù
±×Á¦´Â ¹Ù¶÷°ú ±â¿ÂÀÇ ¿µÇâÀ¸·Î ÀúÁ¶ÇÑ Á¶È²À» º¸¿´À¸³ª
¾îÁ¦´Â º¸»óÀÌ¶óµµ ÇØÁÖµí ¾ÆÁÖÁÁÀº Á¶È²À» º¸¿´½À´Ï´Ù
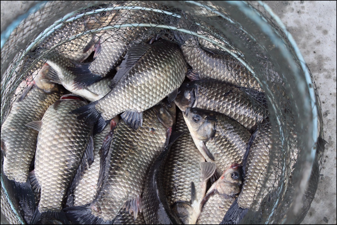
ÃÊÀú³áºÎÅÍ ³ª¿À±â ½ÃÀÛÇÑ ºØ¾î´Â µ¿ÀÌÆ²¶§±îÁö ²ÙÁØÇÑ ÀÔÁúÀ» º¸¿´°í
¾ÆÄ§¿¡ »ì¸²¸ÁÀ» º¸´Ï 50¼öÀÌ»óÀÇ Á¶°ú¸¦ º¸¿´³×¿ä
¾îÁ¦µµ ¹æ·ù¸¦ ½Ç½Ã Çß°í ¿À´Ãµµ ´ë·®¹æ·ù¸¦ ÇÏ¿´½À´Ï´Ù
³»Àϵµ ´ë·®¹æ·ù ÇÕ´Ï´Ù ÃÊ¿ø³¬½ÃÅÍ´Â ¸ÅÁÖ800Kg (È150/¸ñ150/±Ý200/Åä300)
ºØ¾î¸¦ ¹æ·ùÇÕ´Ï´Ù
¡Ø ³×ºñ°Ë»ö: ÃÊ¿ø³¬½ÃÅÍ ¡Ø ÁÖ¼Ò: °æ±âµµ Æ÷õ½Ã ÀÚÀÛµ¿509
¡Ø Á¶È²/¿¹¾à¹®ÀÇ: 031-535-4800/h.p 010-8875-5488 ¡Ø ºÎ´ë½Ã¼³: ¼ö»óÁ´ë/¹æ°¡·Î/½Ä´ç/¸ÅÁ¡/ÈÞ°Ô½Ç/³².¿© ÈÀå½Ç/»þ¿ö½Ç/ÁÖÂ÷Àå
Á¶È²/¿¹¾à¹®ÀÇ: 031-535-4800/h.p 010-8875-5488